0071-2018-0097
(10.12.2018, Ústecký kraj) penízečka drobnovýtrusá
pro všechny uživatele
Popis nálezu
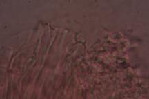
Po sněhové oblevě vyrostlo několik druhů drobných hub. Některé z nich, vzhledem k nízkým teplotám, byly málo plodné, nebo sterilní. Málo výtrusů měly i tyto Baeospora myosuraµm.
Ostří lupenů penízečky se vyznačuje výraznými cystidami. Přezky v mase lupenů jsou hojné a hladké elipsoidní výtrusy velice malé.
Diskuse
Možnost záměny s penízovkou smrkovou, jen při nepozornosti.
Související taxony
penízečka drobnovýtrusá (Baeospora myosura)
Vytvořeno: 18.12.2018
Poslední aktualizace: 18.12.2018




